利特維年科說:“我們努力把圖片變成在線傳輸。預計,“勇士號”將由兩個儀器組成:主要試驗站以水珠的形式放進去,儀器將在它周圍工作。信息通過基站輸出,位於直徑150公里處的儀器將收到信息。我們希望從馬里亞納海溝的深處進行直播。”
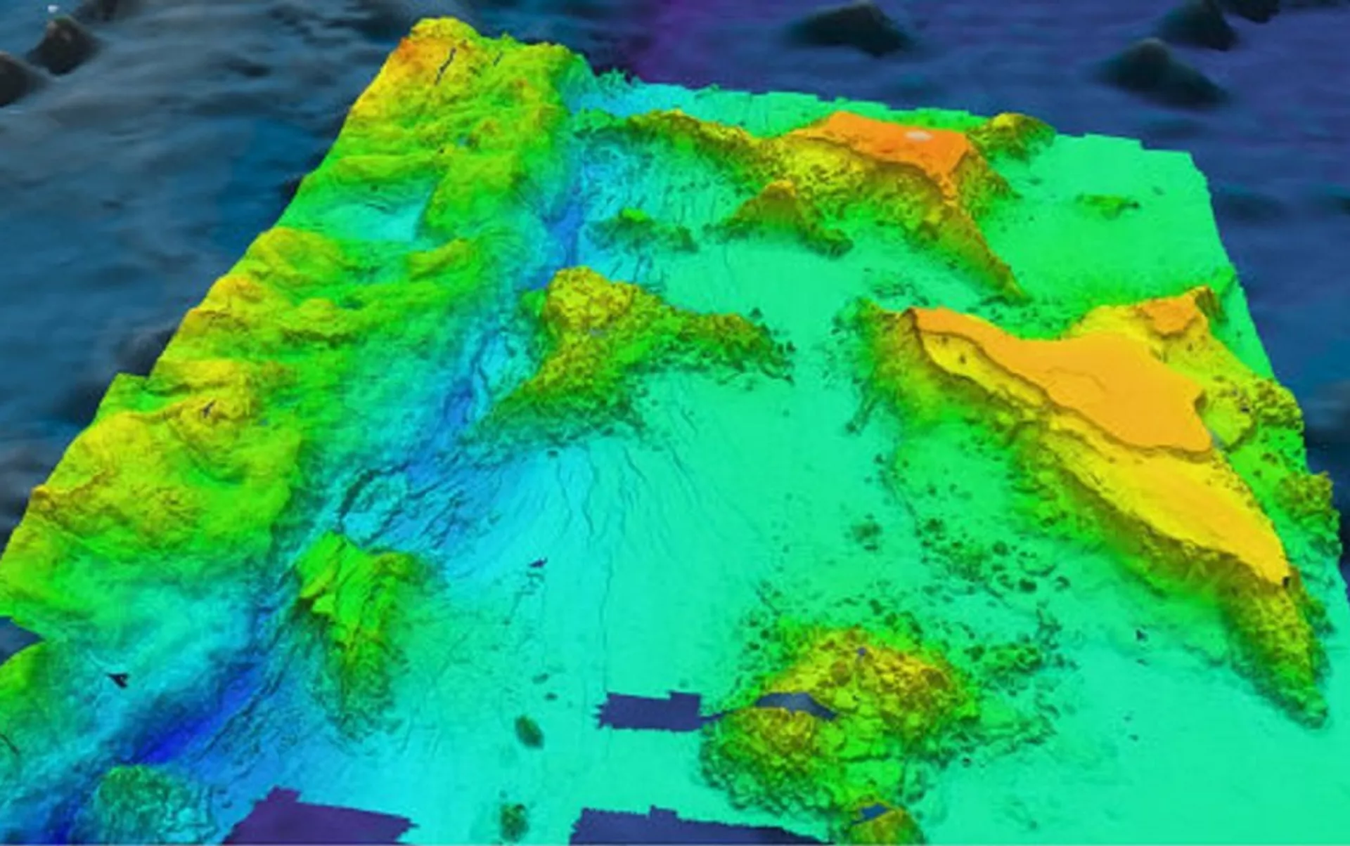
此前有報道稱,除了機動的潛水設備“勇士號”外,還計劃向馬里亞納海溝底部放下去一個海底試驗站。借助它們將進行海底製圖、尋找和分類目標、收集水文資料和採樣。由於這個項目還計劃開發建造水下機器人的工藝。

此前有報道稱,除了機動的潛水設備“勇士號”外,還計劃向馬里亞納海溝底部放下去一個海底試驗站。借助它們將進行海底製圖、尋找和分類目標、收集水文資料和採樣。由於這個項目還計劃開發建造水下機器人的工藝。